FoI
Charming Clematis
Share Foto info
Charming Clematis
ative Photo: Thingnam Girija
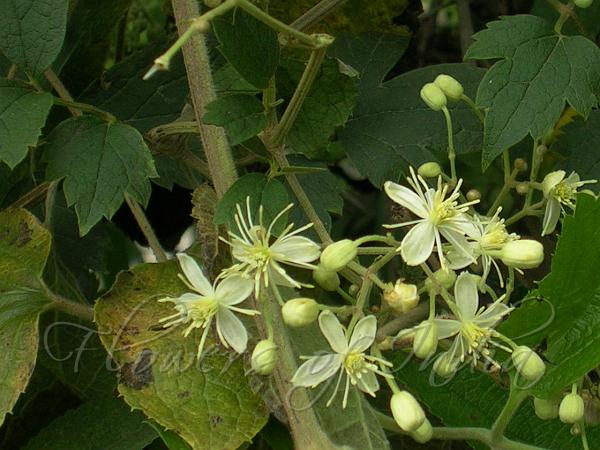
Common name: Charming Clematis • Chinese: 秀丽铁线莲 Xiu Li Tie Xian Lian • Hindi: Dhanwali, Santai, Charki, Garol, Wantah
Botanical name: Clematis grata    Family: Ranunculaceae (Buttercup family)
Synonyms: Clematis cordata, Clematis vitalba subsp. grata

Charming Clematis is a vigorous climber distinguished by its clusters of many small cream-colored fragrant flowers, with spreading petals. Petals are 4-8 mm, ovate-oblong, woolly-haired beneath. The numerous stamen filaments are hairless. Leaves are compound with usually 5 leaflets. Leaflets are 3-8 cm long, ovate-lanceshaped, long-pointed, strongly toothed or lobed, hairy beneath. Charming Clematis is found in the Himalayas, from Afghanistan to C. Nepal and China, at altitudes of 600-2400 m. Flowering: July-September.

Identification credit: Gurcharan Singh Photographed in Govindghat-Ghanghria route, Uttarakhand & Kashmir.

• Is this flower misidentified? If yes,